郑州航空港总体城市设计三大方案出炉 未来咋建你说了算

2018年12月21日05:19

来源:大河网

  □大河报·大河客户端记者邵可强

  快来看,郑州航空港实验区总体城市设计三大方案出炉啦:是“一个主题,三个愿景”,还是“枢纽+X”融合理念,抑或是“花开中原·鹤舞丝路”?据了解,本次郑州航空港实验区总体城市设计编制范围共计361.2平方公里,并将航空港核心区53.8平方公里作为规划研究范围,三家规划编制机构设计的三种方案现已公示。你看中了哪个方案?可以参与投票提建议。

  方案1

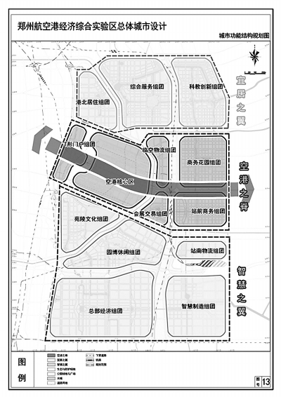
  一脊两翼多组团功能

  该方案的规划理念是,一个主题,三个愿景。即以“盛世中原新门户,水绿画苑空港城”为主题,打造“开放创新高地”“中原文明之窗”“宜居生态画苑”,全面展示现代城市形象与人文精华。

  该方案基于空铁两大枢纽双核圈层规律,培育“一脊两翼多组团”的功能布局。

  中部空港核心区:打造“空港之脊”,重点发展临空服务、高新制造、保税物流等;高铁站组团重点发展会议会展、跨境交易、高端消费;高铁站组团以北打造商务花园区。北翼:打造汇集航空及跨国企业区域总部的国际商务区,并依托冯庄公园打造国际文化交往区;东部打造生态住区。南翼:以苑陵故城、园博园为中心发展文化休闲、设计创意等功能;双鹤湖地区发展现代金融、总部经济、管理咨询等功能。

  该方案秉承“轴线统领、方城合院、蓝绿织网、灵动苑囿”理念打造“一环三轴,五廊渗透,九水绕城”的总体结构。

  方案2

  “枢纽+X”融合理念

  郑州航空港区由“机场+高铁+高速”组成的“铁公机”联运网络枢纽,将成为中原区域最为重要的赋能要素之一,港区空间战略及资源配置均以此为核心出发点。该方案秉持“枢纽+X”融合理念,深度构建港城一体。具体分为三个方面:

  构建“五带联芯、放射生长”的放射状空间形态。形成由机场和高铁站向外放射延伸的五条特色产业优先发展带。五条产业带一端会聚联结于枢纽核“芯”,另一端分别延伸指向周边商丘、郑州、许昌、开封和周口方向,实现临空产业链的有效对接。

  塑造“豫韵今风、温馨明雅”的空港门户特色风貌。港区色彩以“温馨明雅、重色点缀”为总体思路,以柔和温馨的暖色调为色彩基调,搭配局部沉稳厚重的点缀色,塑造呼应环境、协调现状、符合心理、满足功能的色彩风貌。

  实施“以人为本、先进创新”的环境打造策略与重点项目策划。充分利用生态资源,打造一座绿意盎然、活力充沛,人与自然和谐共生的“生态城市”;策划搭建高铁站与空港之间的复合型及城市公园、步行交通、大型公共设施与捷运体系接驳于一体的综合体,建设国内首个“可步行到达的机场”。

  方案3

  花开中原·鹤舞丝路

  8个字可以反映该方案的设计理念,花开中原·鹤舞丝路。如何解释呢?花开以航空港的多个组团为花瓣、空港核心区为花蕊,构建“花开中原”的空间形象;以三大片区为肌理,构建翱翔之鹤的翅膀、身体,以机场信号塔“点睛”,构建“鹤舞丝路”的意识形象。

  该方案具体有3个方面的内容:

  从都市骨架、生态基底、文化感知三个方面塑造航空港实验区城市风貌特色。

  以绿廊划分重点片区,形成北片区、东片区、南片区。北片区主要功能为航空商务中心、对外交往中心、站前商业中心、航空科创中心;东片区主要功能为会展商务中心、站前贸易、科创研发中心、东湖公园;南片区主要功能为综合服务中心、生产配套、企业总部、跨区域合作中心。

  将智慧岛、南湖片区预留为未来城市空间模式实践区,对低碳城市、生态城市、智慧城市作积极探索、创新。

  互动

  郑州航空港区有关人士解释,这3个方案由3家不同的规划编制机构参与设计,该区规划市政建设环保局已经将这3个设计方案的详细内容对外公布,关心港区发展的市民可通过邮箱:hkgqcsgz@163.com,提出您的宝贵意见和建议,截止时间为2019年1月5日前。

编辑:梁倩文

我来说两句 0条评论 0人参与,